Bought with AgentOwned Realty Co. Premier Group, Inc.
$110,000
$130,000
15.4%For more information regarding the value of a property, please contact us for a free consultation.
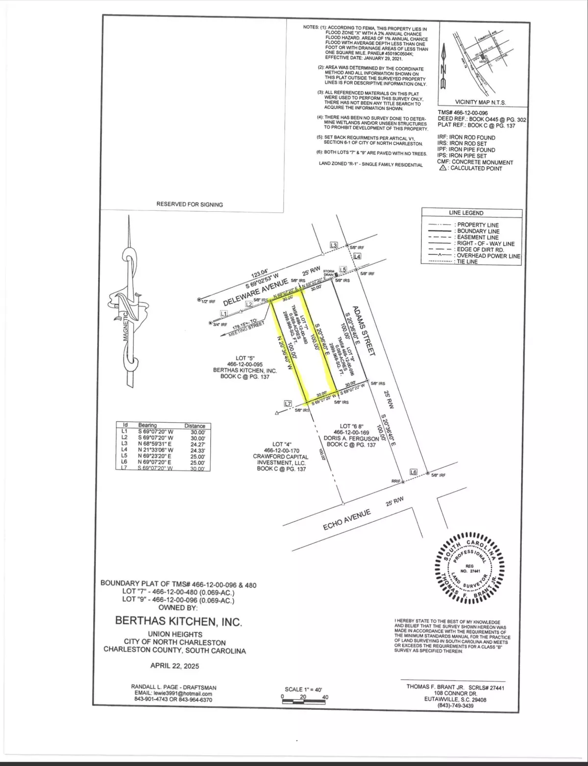
3,049 Sqft Lot
SOLD DATE : 10/30/2025
Key Details
Sold Price $110,000
Property Type Vacant Land
Listing Status Sold
Purchase Type For Sale
Subdivision Union Heights
MLS Listing ID 25015474
Sold Date 10/30/25
HOA Y/N No
Lot Size 3,049 Sqft
Acres 0.07
Property Description
Located in the up-and-coming Union Heights community, this vacant lot offers incredible potential just minutes from Downtown Charleston and Park Circle. Positioned in a rapidly revitalizing area, the property provides easy access to local shops, restaurants, parks, and major thoroughfares. Whether you're looking to build your dream home or invest in one of Charleston's fastest-growing neighborhoods, this is an opportunity you don't want to miss!
Location
State SC
County Charleston
Area 31 - North Charleston Inside I-526
Schools
Elementary Schools Mary Ford
Middle Schools Morningside
High Schools North Charleston
Others
Acceptable Financing Any, Cash, Conventional
Listing Terms Any, Cash, Conventional
Financing Any,Cash,Conventional
Read Less Info
Want to know what your home might be worth? Contact us for a FREE valuation!

Our team is ready to help you sell your home for the highest possible price ASAP

Find out why customers are choosing LPT Realty to meet their real estate needs
Learn More About LPT Realty


